A recent report by KTVQ has highlighted community concerns surrounding a proposed rezoning that could affect access to long-used informal trails leading to the Rimrocks.
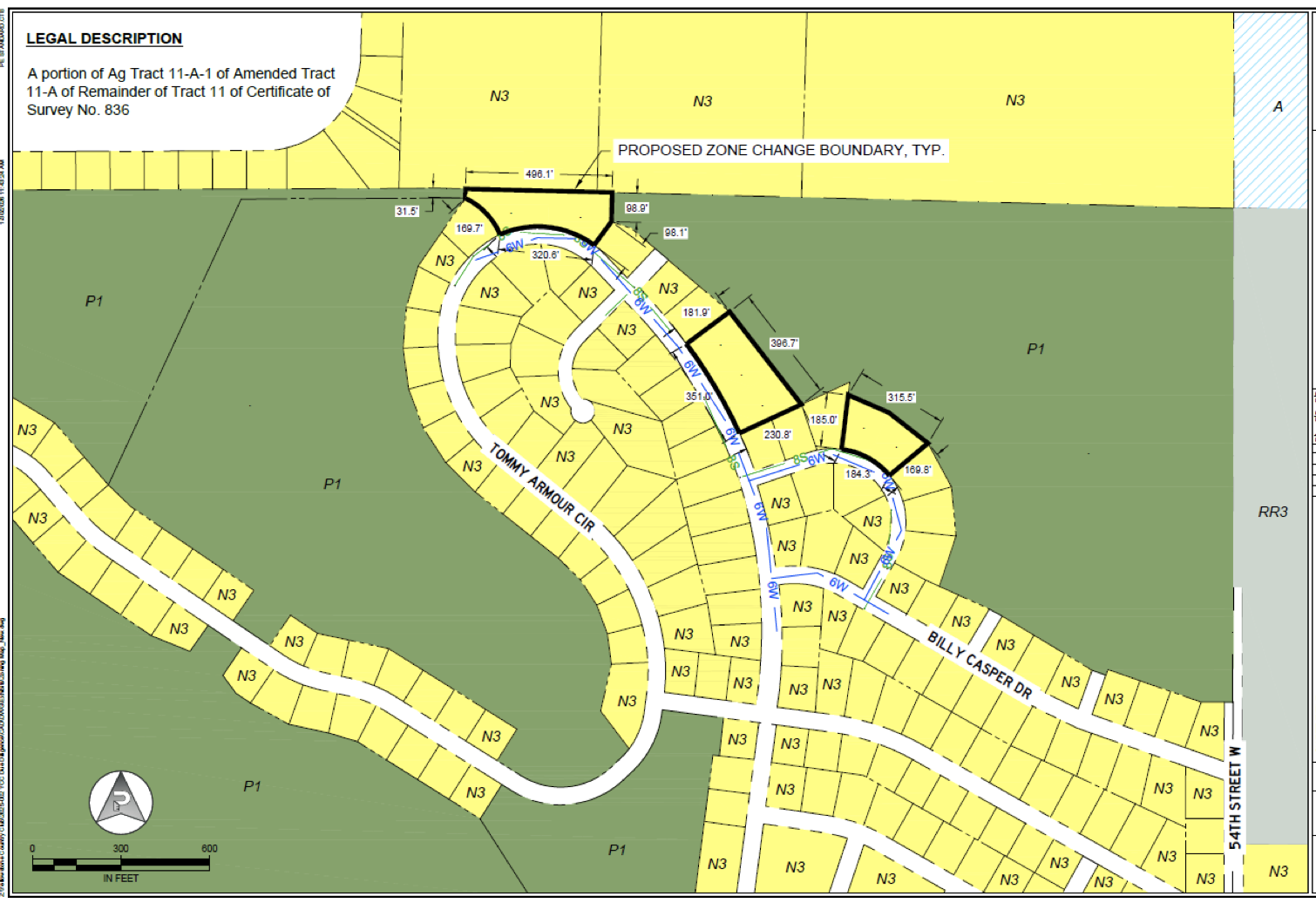
The request comes from Yellowstone Country Club, which is seeking to rezone approximately six acres of land from Public 1 – Parks and Open Space (P1) to Suburban Neighborhood Residential (N3). The change would allow for future residential development within the Yellowstone Club Estates Subdivision.
For decades, residents have used informal trail connections in the area near Ben Hogan Lane to reach the Rimrocks. While not officially designated, these paths have become a regular part of daily life for many in the neighborhood and across Billings.
Resident Cody Hoefle described the importance of the area, saying, “It’s nature. It’s scenery. It’s hiking, biking, recreation, and health. It’s why we love to live in Montana.”
According to project materials, the proposal aligns with the City of Billings Growth Policy, which supports infill development and efficient use of existing infrastructure.
The application was submitted by Performance Engineering, which is co-owned by City Councilmember, Scott Aspenleider.
The Yellowstone Country Club has indicated that it intends to maintain trail access, stating that lot layouts were designed with existing informal paths in mind, but some residents have raised questions about how access would function under the proposed development.
YCC resident Katelyn Hoefle expressed concern about the practicality of the proposed access points. “There’s a culvert at one of the proposed access points, a second access point is someone’s driveway, and the third is obstructed.”
“That we are members and residents of Yellowstone Country Club highlights the complexity of this issue,”
Katelyn continued. “We use and are active with the country club. We live out here and are opposed to this rezoning. We support the club but are opposed to cutting off access to the trail.”
Additional public comment during the Zoning Commission hearing reflected similar concerns, particularly around the potential loss of access to the informal trail network and the reduction of open space. Others spoke in favor of the proposal, citing housing needs and community growth.
The Hoefles report 23 letters such as these to City Council, Zoning Commission and the Planning department, opposing the rezoning.
The proposed zone change—identified as Zone Change 1077—would reclassify a portion of a larger 38-acre parcel currently zoned for parks and open space. The land is privately owned and has historically been maintained as open land, though it has been used informally by the public for trail access for many years.
City planning documents note that while informal trail access is a community concern, it is not directly governed through zoning decisions and may require separate coordination between landowners and residents.
The Billings City Council is scheduled to consider the proposal at their upcoming regular business meeting March 23, 2026 at 5:30 pm.
Community members may attend or provide input as part of the public hearing process, or email city council before Monday, March 23 in order for emails to be read by council members.
